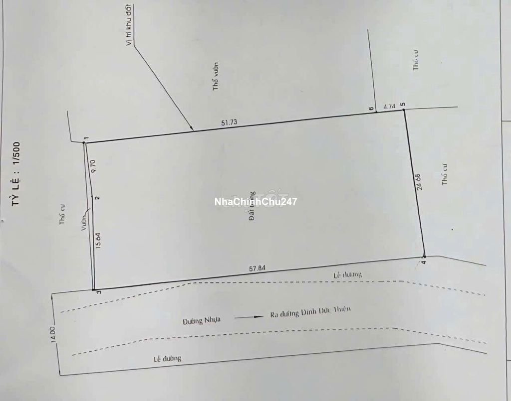
💎 SIÊU PHẨM QUỸ ĐẤT VÀNG 1.500M² THỔ CƯ – MẶT TIỀN ĐINH ĐỨC THIỆN, BÌNH CHÁNH 💎 Gia đình cần thu hồi vốn kinh doanh, nhượng lại lô đất diện tích lớn, vị trí đắc địa ngay cửa ngõ phía Tây TP.HCM. Cơ hội cực tốt cho các nhà đầu tư đón đầu hạ tầng Bình Chánh Vị trí : Đường Đinh Đức Thiện, xã Bình Chánh, huyện Bình Chánh, TP.HCM. Giao thông Đường nhựa rộng 14m , xe container/xe tải ra vào thoải mái. Kết nối: Liền kề Quốc lộ 1A, Cao tốc Bến Lức - Long Thành, thuận tiện di chuyển về trung tâm TP.HCM và các tỉnh miền Tây Diện tích: 1.450m² (Chiều ngang lên tới 58m x 25m) vuông vức cực kỳ đẹp, thuận lợi phân lô tách thửa Loại đất: 100% Thổ cư (Đất ở tại đô thị) – cực hiếm khu vực này. Chỉ tiêu xây dụng 6 tầng Sổ hồng riêng chính chủ, không quy hoạch, không tranh chấp, công chứng sang tên ngay. Giá bán 36 tỷ ( chỉ hơn 20tr/1m2 bằng tiền đóng thuế lên thổ cư hiện tai) Lh chính chủ thương lượng ***
Ngày 14-04-2026 11:48:02 Mã tin: 248145