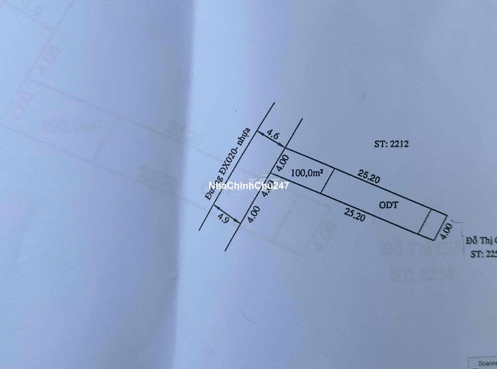
Cách Chợ Phú Mỹ 200 m Đường nhựa thông Tiện ích đầy đủ - bao mọi quy hoạch Diện tích: 100 m2 Thổ cư : 60 m2 Giá: 2 tỷ xxx Đường thông dân kín Giáp chủ có Giá tốt
Ngày 23-11-2025 15:32:11 Mã tin: 232408
Chính chủ cần để lại căn nhà phố Sycamore
10.9 tỷ
90 m2
chính chủ cần bán lô đất Thủ Dầu Một
1.2 tỷ
75 m2
[ CHÍNH CHỦ CÒN THƯƠNG LƯỢNG ] CHUNG CƯ H. Thành 3-Toà Thương mại 46m2
980 triệu
46 m2
Nhà hẻm xe tải, sổ đỏ chính chủ , dt 107m, vị trí đẹp
1.5 tỷ
107 m2
tôi chính chủ bán mặt tiền hvl ngang 15x14 vị trí vip có 2 căn nhà lầu
14.5 tỷ
184 m2
Chính chủ bán căn hộ Minh quốc plaza phường Bình Dương Tp.hcm
1.8 tỷ
64.3 m2
Chủ ngộp bán gấp miếng đất mặt tiền đường nhựa
639 triệu
300 m2
CHÍNH CHỦ BÁN ĐẤT 125M2 5X25 NGUYỄN CHÍ THANH TÂN AN- 2.35 TỶ
2.4 tỷ
125 m2