CHÍNH CHỦ GỞI BÁN NHÀ MẶT TIỀN ĐƯỜNG SỐ 5 DT 7x15

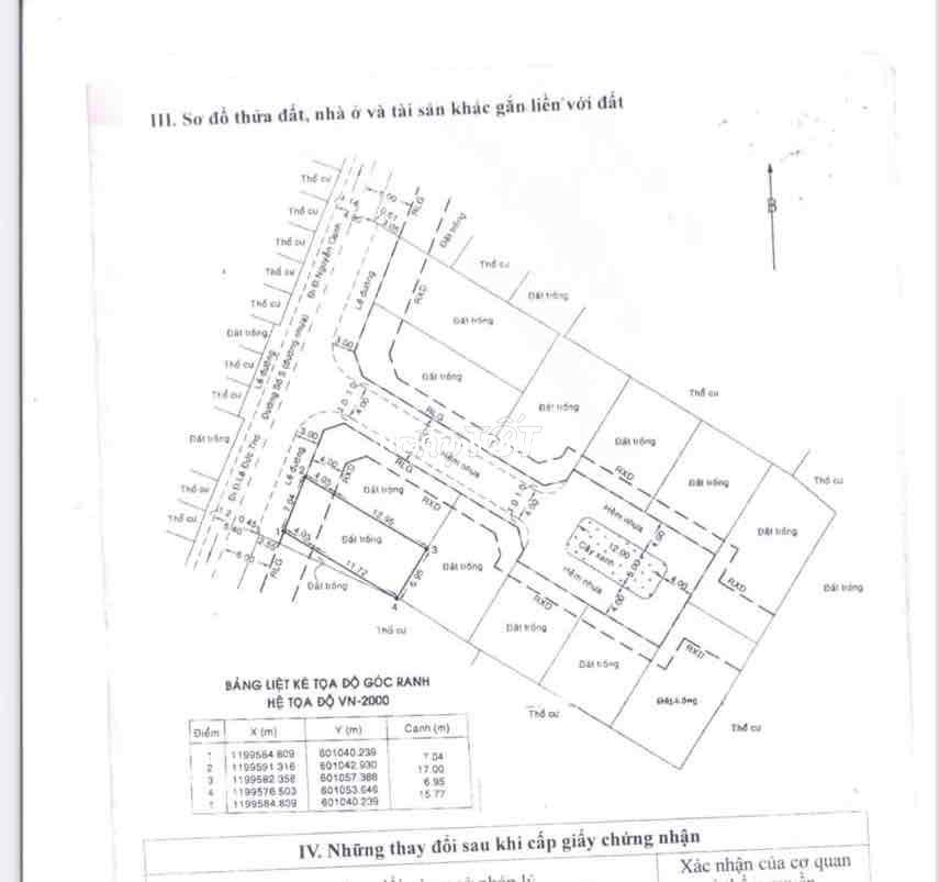
Dự án: Thông tin chi tiết: Chính chủ gởi bán gấp nhà Mặt Tiền Đường số 5 P17 Dt 7x15 hiện nhà 2 tầng 4Pn trọ cho thuê và Mặt Bằng làm Gara Thích hợp mua xây dựng Căn Hộ Dịch Vụ hay đầu tư kinh doanh và ở Zalo xem nhà Xin miễn tiếp QC và Mg

Giá: 16.9 tỷ
Diện tích: 113 m2
Điện thoại: Đăng nhập để xem

Ngày 24-04-2026 16:09:37   Mã tin: 248992

Tìm kiếm