bán nhà chính chủ.

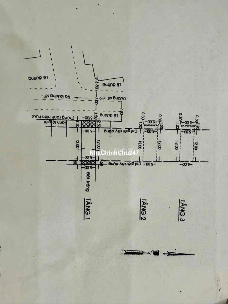
Dự án: Thông tin chi tiết: Nhà mặt tiền chợ thuận tiện kinh doanh mua bán.cách khu công nghiệp bon chen 500m. Cách siêu thị AEON bình tân 5’ chạy xe máy. Thương lượng cho người thiện chí. Không tiếp môi giới.đt *** gặp chị Hoàng chính chủ

Giá: 11.9 tỷ
Diện tích: 80 m2
Điện thoại: Đăng nhập để xem

Ngày 22-04-2026 17:27:34   Mã tin: 248876

Tìm kiếm