Bán cặp đất liền kề số 49/6 Phùng Tá Chu, Bình Tân

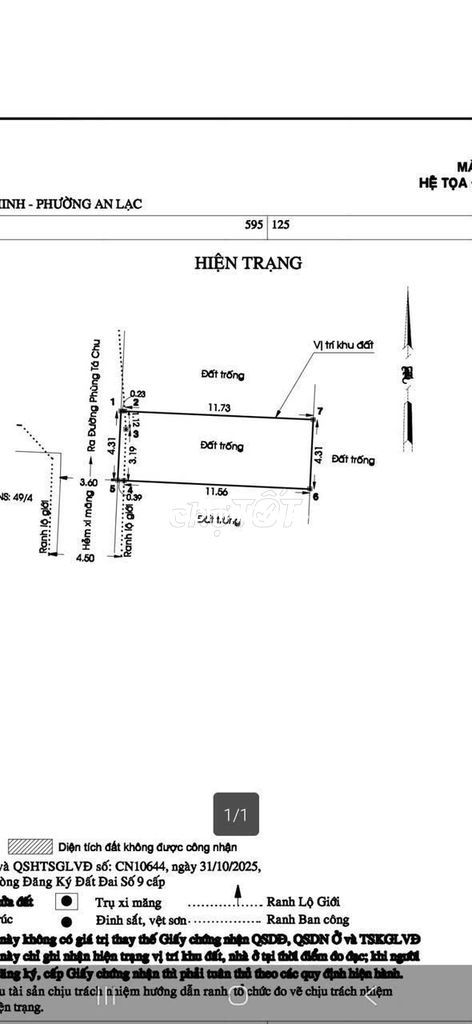
Hai lô đất số 49/6 Phùng Tá Chu, Bình Tân Vị trí đẹp ngay sát trường cấp 1, cấp 2, cách mặt đường chỉ 10m, hẻm thông tứ hướng, giáp Tên Lửa - Quận 6 Diện tích 4.3x12 CN 50m2 Sổ hồng riêng, pháp lý chuẩn Hướng Tây Tặng GPXD trệt+lửng+3 lầu (Đã có) Giá 5.45 tỷ/1 lô, (Có giá tốt cho khách mua 2 lô) Liên hệ để đi xem trực tiếp vị trí

Giá: 5.4 tỷ
Diện tích: 51.5998 m2
Điện thoại: Đăng nhập để xem

Ngày 09-04-2026 09:02:03   Mã tin: 247101

Tìm kiếm